2017 Chevrolet Silverado 1500 2lt

Идентификатор автомобиля: 70102368
Место нахождения: Lubbock, Texas, United States
Item Description
Крайний срок подачи заявок Oct 07 08:30 AM CDT Add to Calendar
продавец: State Farm Group Insurance
VIN: 3GCUKREC0H******* View History Report
Место нахождения: Lubbock, Texas, United States
Цена:
Тип продажи: Auction | Только прокси-макс. Может иметь резервную цену.
заглавие: Texas Clear
тип машины: Car
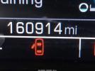
одометр: 160914 Actual Miles
Имеет ключ: Yes
Началось тестирование: Yes
Ходы: Yes
ACV: 16,842.00 USD
Состояние: Damaged
Телосложение: Crew Cab
двери:
Тип вождения: Four Wheel Drive
двигатель: 8 Cylinders
коробка передач: Automatic
Тип топлива: Gasoline
Цвет кузова: Gray
Цвет интерьера: Black
Первичный ущерб: Other
Вторичный урон: Разный урон и недостающие части.
Специальные заметки:

Описание:
CHEVROLET SILVERADO 1500 5.3L V-8 DI, VVT, 355HP Damage: hail. Starts. Estimated pre-damage value: $16,842
Ответственность покупателей заключается в том, чтобы проверять этот предмет на предмет любых расхождений, прежде чем он покинет место для хранения.
Информация о ставке
ТЕКУЩАЯ СТАВКА:
$25 USD
ПРЕДВАРИТЕЛЬНЫЕ ТОРГИ ЗАВЕРШАЮТСЯ:
Days ::
Статус вашей ставки:
Never Bid

Сделайте ставку:
Минимальная ставка
Ваша максимальная ставка
Сделать ставку сейчас
Информация о продаже
Место нахождения:
Lubbock, Texas, United States
RESERVE MET:
No
СТАТУС ПРОДАЖИ:
On Minimum Bid
КОНКУРЕНТОСПОСОБНОСТЬ:
Более 20 пользователей заинтересованы!
Оценщик стоимости
Стоимость рассчитывается на основе цены продажи на аукционе, которая может быть ниже вашей максимальной ставки.
Сумма ставки
Аукционные и дилерские расходы
Всего USD
Налоги и транспорт не включены.

Item Description
Крайний срок подачи заявок Oct 07 08:30 AM CDT Add to Calendar
продавец: State Farm Group Insurance
VIN: 3GCUKREC0H******* View History Report
Место нахождения: Lubbock, Texas, United States
Цена:
Тип продажи: Auction | Только прокси-макс. Может иметь резервную цену.
заглавие: Texas Clear
тип машины: Car
одометр: 160914 Actual Miles
Имеет ключ: Yes
Началось тестирование: Yes
Ходы: Yes
ACV: 16,842.00 USD
Состояние: Damaged
Телосложение: Crew Cab
двери:
Тип вождения: Four Wheel Drive
двигатель: 8 Cylinders
коробка передач: Automatic
Тип топлива: Gasoline
Цвет кузова: Gray
Цвет интерьера: Black
Первичный ущерб: Other
Вторичный урон: Разный урон и недостающие части.
Специальные заметки:

Описание:
CHEVROLET SILVERADO 1500 5.3L V-8 DI, VVT, 355HP Damage: hail. Starts. Estimated pre-damage value: $16,842
Ответственность покупателей заключается в том, чтобы проверять этот предмет на предмет любых расхождений, прежде чем он покинет место для хранения.

Отчет об истории автомобиля

Закажите отчет об истории транспортного средства в Национальной информационной системе прав на автотранспортные средства США.

Заказать сейчас
Отчет был заказан. Вы получите электронное письмо, когда отчет будет доставлен.

Осмотреть автомобиль в лицо

Свяжитесь с нами, чтобы либо назначить встречу, чтобы лично осмотреть этот автомобиль, либо сделать независимый инспектор для вас.

Связаться с нами
Торги на этом автомобиле закрыты.

Outbid!

You were just outbid.

Remember to place your maximum bid rather than just the current minimum. That way, our system will automatically and continually bid the minimum for you; but only up to your maximum bid amount.

Общие сведения о предварительном назначении ставок через прокси

ВАЖНО. Вы просите нас представлять вас на предстоящем частном аукционе и делать ставки от вашего имени только до установленного вами здесь лимита. Соответственно, вам следует подать МАКСИМАЛЬНУЮ ставку до истечения срока подачи заявок, указанного выше. Помните, что текущая сумма ставки на момент закрытия предварительных торгов не является хорошим индикатором конечной цены продажи. Продавцы могут установить резервную цену, а другой участник торгов может установить максимальную ставку, намного превышающую показанную текущую ставку. Предлагайте реалистично.

Аукционы используют прокси-систему назначения ставок, в соответствии с которой система может автоматически предлагать вам минимальную сумму, необходимую для участия в торгах, но только до максимальной суммы ставки, которую вы вводите здесь. Если вы не укажете максимальную ставку, у вас будет значительный недостаток для тех, кто это делает.

На этом сайте представлены транспортные средства для продажи из различных источников, включая частных продавцов, дилеров, частных аукционов и открытых аукционов. Этот автомобиль продается на аукционе сторонним частным аукционом. Мы предоставляем программный интерфейс для участия в этих аукционах без регистрации или оплаты отдельных сборов за регистрацию на каждом месте аукциона. Продажи могут обрабатываться лицензированным брокером или дилером по мере необходимости. Не используйте эту систему, если вы не понимаете и не соглашаетесь с нашими Условия эксплуатации.
Текущая ставка равна второй наибольшей ставке плюс минимальный приращение ставки. Важно понимать, что у другого пользователя может быть значительно более высокая скрытая ставка прокси для этого элемента. Кроме того, у продавца может быть установлена ​​резервная цена, так что если резерв не будет выполнен, товар не будет продаваться. Не рекомендуется ждать, пока часы будут работать, чтобы поднять ставку. Вы также не должны предполагать, что автомобиль собирается продать за неоправданно низкую цену.  Нажмите здесь, чтобы понять, как работает функция прокси-сервера.
Аукционы используют прокси-систему назначения ставок, в соответствии с которой система может автоматически предлагать вам минимальную сумму, необходимую для участия в торгах, но только до максимальной суммы ставки, которую вы вводите здесь. Если вы не укажете максимальную ставку, у вас будет значительный недостаток для тех, кто это делает.  Нажмите здесь, чтобы понять, как работает функция прокси-сервера.
Этот крайний срок означает закрытие периода назначения прокси. Это не означает момента, когда цена продажи определена. Если у вас есть вопросы о том, как это работает, свяжитесь с нами.
Показанная стоимость покупки основана на действительной потенциальной сумме предлагаемого предложения. Если автомобиль продает за меньшее, сборы будут меньше. Расчет не включает в себя государственную, транспортную или непредвиденную плату за просроченное хранение или просрочку платежа.
В описаниях титров описывается только текущее название, которое может изменяться по типу или выдавать правительство во время транзакции. Вы несете ответственность за проверку с соответствующими агентствами автотранспортных средств, чтобы определить, будет ли какой-либо конкретный автомобиль и тип титула передаваться, как ожидалось, и служить вашей цели. Видеть Условия эксплуатации.

AutoBid ™

Never lose again.
Enter your MAXIMUM bid and let our AutoBid system bid for you, as little as needed to win and only up to your max amount.
Learn More

Get Full Access Now

Bidding and other features require registration. Already a member? Авторизоваться

Нажимая, чтобы зарегистрироваться, вы соглашаетесь с нашими
Условия эксплуатации, политика конфиденциальности, и Политика использования файлов cookie.

Session Expiration Warning

Your session is about to expire, and any unsaved changes will be lost. Do you want to stay logged in?

Loading...